07 gru [Obwodnica Białych Błot] Podpisanie listu intencyjnego
W czwartek w godzinach przedpołudniowych w Urzędzie Miasta podpisano list intencyjny, który będzie początkiem prac przygotowawczych do budowy obwodnicy Białych Błot. Dzięki tej inwestycji mają się zmniejszyć korki na na jednym z najbardziej obciążonych wjazdów do Bydgoszczy.
Kilkanaście dni temu informowałem o planach inwestycyjnych, które poprawią dojazd do Bydgoszczy. Na dniach ma ruszyć rozbudowa ulicy Grunwaldzkiej, planowana jest rozbudowa ulicy Nakielskiej oraz budowa obwodnicy Białych Błot. Ta ostatnia inwestycja wchodzi w okres przygotowawczy, dzięki podpisanemu dzisiaj listowi intencyjnemu.
Drogą Wojewódzką nr 223 (odcinek Bydgoszcz – Białe Błota) przejeżdża około 24000 pojazdów na dobę (wg. Generalnego Pomiaru Ruchu z 2015 roku). Bardziej obciążonymi drogami wjazdowymi/wyjazdowymi są tylko al. Jana Pawła II i al. Armii Krajowej, którymi przejeżdża odpowiednio 25100 i 25300 pojazdów na dobę. Korki w godzinach popołudniowych często ciągną się kilometrami. Rozwiązaniem na te problemy ma być obwodnica.
Wkrótce zostanie ogłoszony przetarg na opracowanie studium techniczno-ekonomiczno-środowiskowego (STEŚ). Koszt dokumentu to 500-600 tys. złotych, pokryją go gmina Białe Błota, powiat bydgoski, miasto Bydgoszcz i samorząd województwa (po 25%). Inwestycję ma wspierać również wojewoda kujawsko-pomorski. Prace nad STEŚ potrwają około 1,5-2 lat, po opracowaniu dokumentu będzie możliwy wybór dokładnego przebiegu drogi (w dokumencie będą rozpatrywane minimum 3 warianty) oraz jej kategoria.
Samorządowcy nie ukrywają, że najlepiej byłoby wybudować drogę klasy GP (potocznie nazywana drogą szybkiego ruchu), jednak czy będzie to możliwe określi STEŚ.
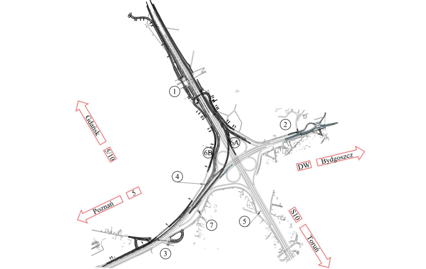
Wybór wariantu nie będzie dokonany bez konsultacji społecznych, które będą możliwe po opracowaniu poszczególnych wariantów przebiegu. Wiadomo jedynie że obwodnica ma rozpoczynać się na rondzie turbinowym, które w przyszłym roku powstanie przy skrzyżowaniu Szubińskiej z al. Ofiar Hitleryzmu (więcej o inwestycji możecie przeczytać, drugie zdjęcie w galerii), a kończyć na rondzie przed Węzłem Bydgoszcz Błonie (trzecie zdjęcie w galerii, rondo powstanie razem z przebudową węzła Bydgoszcz Błonie, inwestycja jest w trakcie opracowywania i nie łączy się z budową drogi ekspresowej S5).
![]() |
| Rondo turbinowe pomiędzy Bydgoszczą a Białymi Błotami |
![]() |
| Projekt rozbudowy węzła Bydgoszcz Błonie |






Sorry, the comment form is closed at this time.